Wulkanolodzy i sejsmolodzy stale obserwują sytuację w newralgicznych punktach na Ziemi. Czy w 2026 roku świat czeka potężna erupcja wulkanu? Aktywność geologiczna na kilku kontynentach daje do myślenia.
Eksperci patrzą z niepokojem. Te wulkany mogą wybuchnąć w najbliższym czasie

Ameryka, Azja i Europa - to przede wszystkim tam eksperci obserwują wulkany, które niedługo mogą przebudzić się z drzemki.
Zagrożenie w USA, Indonezji i na Hawajach
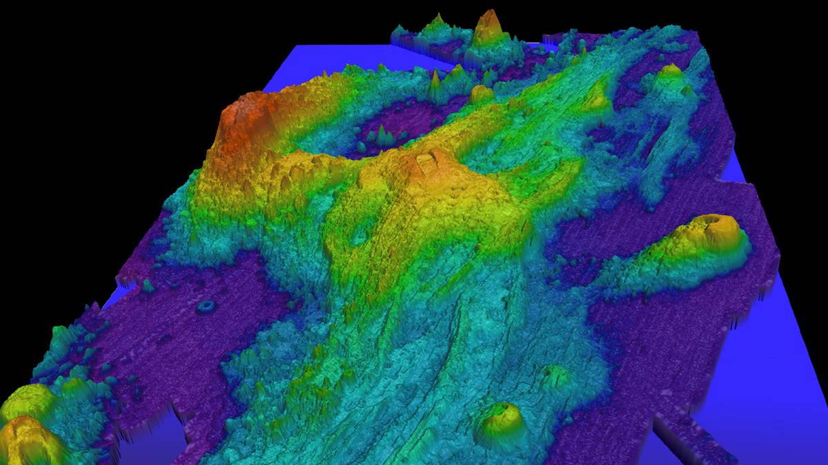
W Stanach Zjednoczonych zainteresowanie budzi podwodny Axial Seamount, który leży u wybrzeży stanu Oregon. Zauważa się tam przyrost magmy i więcej lokalnych trzęsień ziemi. Prof. William Wilcock z Uniwersytetu Waszyngtońskiego nie wykluczył w rozmowie z CNN, iż na początku 2026 r. może dojść do wybuchu. Uspokaja jednak fakt, iż zdaniem specjalistów mieszkańcy wybrzeża USA raczej nie odczuliby jego skutków. Znajduje się po prostu zbyt głęboko (1400 m p.p.m.).
NOAA, Wikimedia Commons Uwagę zwraca też trwająca od roku erupcja hawajskiego Kilauea. Na początku grudnia miała miejsce 38. faza aktywności, pod koniec roku wydarzyła się 39., a i to nie było "ostatnim słowem" wysokiej na 1247 m struktury, która potrafiła już w swojej historii niszczyć miasteczka (np. Kalapana i Kaimu w 1990 r.) i powodować ogromne straty w infrastrukturze.
ZOBACZ: Erupcja wulkanu w Etiopii. Wybuchł pierwszy raz od 10 tysięcy lat
W azjatyckiej Indonezji niepokój wzbudza Merapi. Ten szczyt potrafił już doprowadzić do wielu tragedii swoimi wybuchami. W wyniku erupcji z 2010 r. zginęło ponad 350 osób. Aktualnie Indonezyjska Służba Wulkanologiczna nadała mu status alarmowy 3. stopnia (drugi najwyższy) i ocenia, iż strefa zagrożenia obejmuje ok. 3-7 kilometrów od szczytu. W grudniu notowano przypadki spływów lawy oraz gorącego materiału z kopuły.
Kang Henry Irawan, Wikimedia Commons Podwyższony alarm na Islandii
Z kolei na Filipinach widać działalność dającego o sobie coraz bardziej znać Kanlaona. Tamtejsze państwowe centrum sejsmologiczne wydało 2. stopień alarmowy (5. to najwyższy poziom), oznaczający możliwość zagrożenia magmowego, tektonicznego lub hydrotermalnego. Niedawno z wulkanu intensywnie wydobywał się popiół.
ZOBACZ: Uśpiony od setek tysięcy lat wulkan budzi się do życia. Naukowcy ostrzegają
22 grudnia 2025 zaobserwowano dwie emisje popiołu. Jak poinformował Filipiński Instytut Wulkanologii i Sejsmologii (Phivolcs), na początku tygodnia wulkan Kanlaon wyrzucał popiół cztery razy, kolejno:
- 9:01-9:20
- 10:29-11:07
- 16:05-18:02
- 20:31-21:10
Bien02, Wikimedia Commons Bez wątpienia w ostatnim czasie i latach, góra ta silnie dawała o sobie znać wzmożoną aktywnością. Doprowadziła ona do strat rzędu około 4 mln dolarów i zniszczyła niemal 2700 domów. W związku z tym, iż Kanlaon pozostaje aktywny, niewykluczone, iż kolejny wybuch pojawi się w 2026 r.
Od 2021 r. trwa seria erupcji na islandzkim wulkanicznym półwyspie Reykjanes. Zmusiła ona m.in. do częstych ewakuacji mieszkańców rybackiego miasta Grindavik. w tej chwili lokalne służby nadały temu miejscu status podwyższonego niepokoju w związku z procesami geologicznymi.
Widziałeś coś ważnego? Przyślij zdjęcie, film lub napisz, co się stało. Skorzystaj z naszej Wrzutni


1 dzień temu